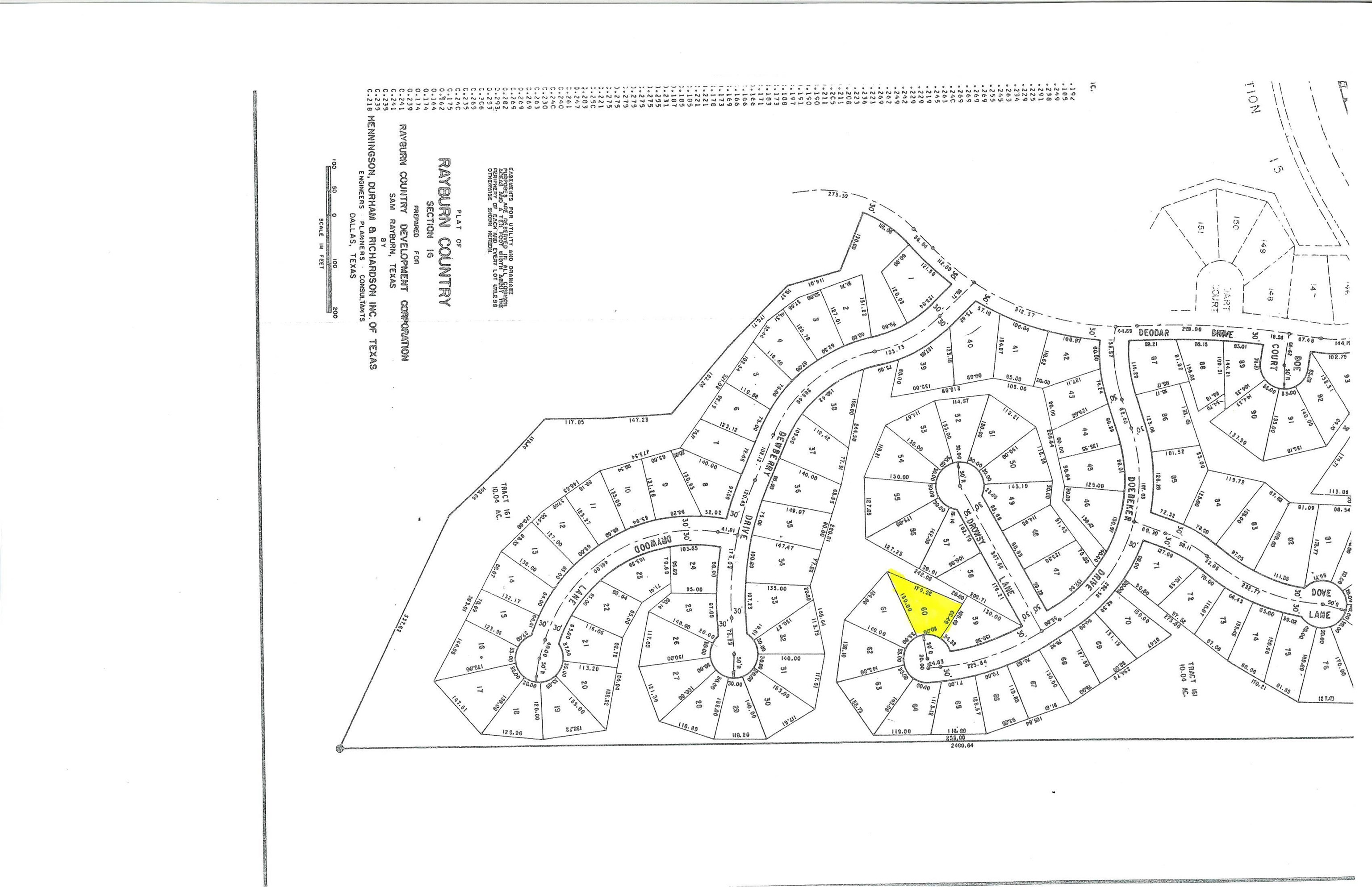
280 Doebecker Brookeland TX 75931

$10,500 Brookeland, TX 75931
  • 0 Acres

Description

Beautiful wooded lot in the desirable Rayburn Country. Nice level buildable lot. Close to Country Club, Golf, Pickle Ball and three Boat Launches.

Key Features

  • Property Type Land
  • Acres 0 Acres
  • Zoning Land
  • Utilities Water Available,Sewer Available,MUD,Other
  • Improvements None
  • Minerals Unknown
  • Water Call for more info

Features

Type/Style:
Zoning: Other-See Remarks
Size of Tract: Less than 1 acre
Utilities: Water Available, Sewer Available, MUD, Other
Improvements: None
Easements: Other-See Remarks
Minerals: Unknown
Surface Water: None
Surface Cover: Other-See Remarks
Drive/Access: Other Access-See Remarks, None
Fence: None
Acreage/Lot Size: 0.24

Location Information/School District

Subdivision: Rayburn Country
Area: Jasper
Rural: n/a
Schools: n/a
Topography: Level
Lake Area: n/a
Directions: n/a

Financial Details

List Price: $10,500
Price per Acre: n/a
Price per SqFt: n/a
HOA/Maintenance Fees: $300
Taxes: $189
Appraisal Dist ID: 34223

Additional

Property Type: Land
Restrictions: Yes Subdivision
Legal Description: n/a
View More Features »

Property Map

Contact Agent

  • This field is for validation purposes and should be left unchanged.