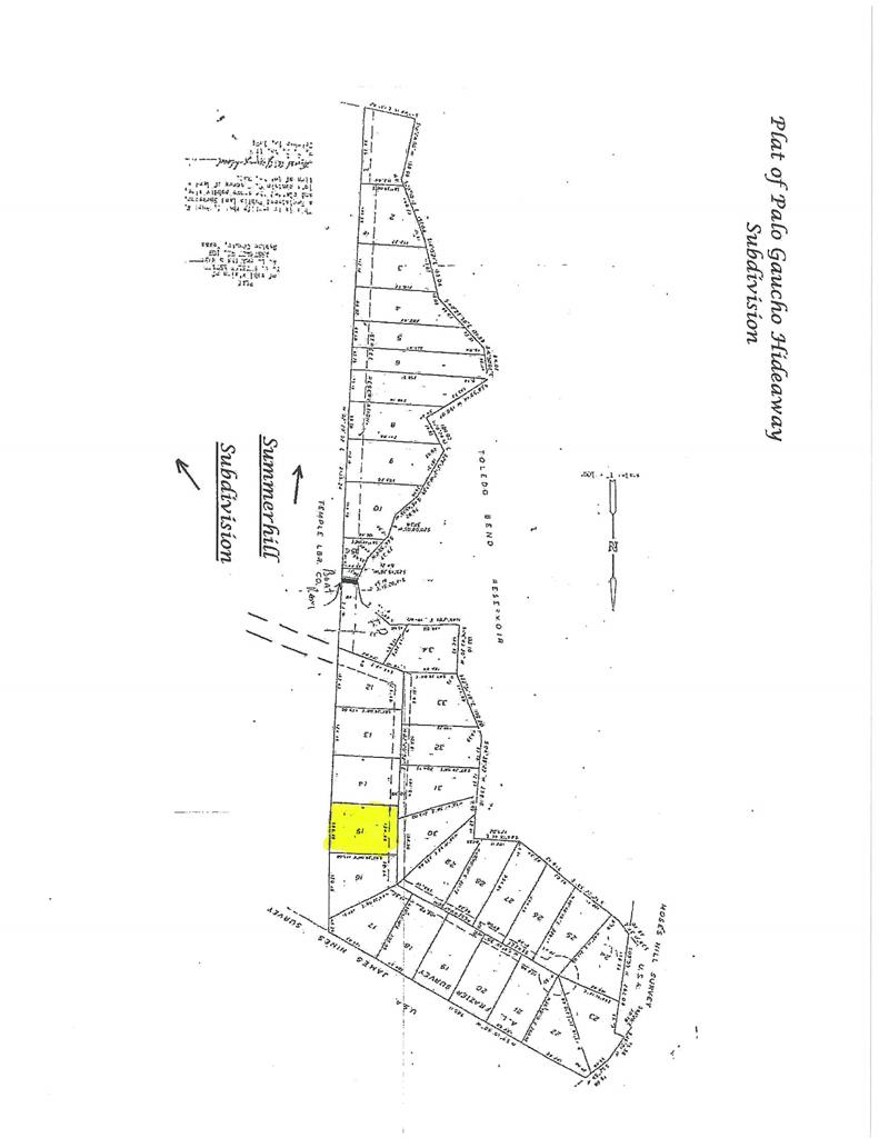
1198 Vantage Point Hemphill TX 75948

$39,900 Hemphill, TX 75948
  • 1 Acres

Description

Water View Lot at Toledo Bend. This approx. 1/2 acre lot has been cleared with some hardwoods left standing. Located near the community boat ramp, it is also near the SRA's new Sabinetown Recreation Area and offers a paved road almost the entire way to the property. Modular homes are allowed, subject to approval of the Improvement Committee.

Key Features

  • Property Type Land
  • Acres 1 Acres
  • Zoning Land
  • Utilities Water Available
  • Improvements None
  • Minerals Reserved By Previous Owner
  • Water Call for more info

Features

Type/Style:
Zoning: None
Size of Tract: Less than 1 acre
Utilities: Water Available
Improvements: None
Easements: No Special Conditions
Minerals: Reserved By Previous Owner
Surface Water: Lake View
Surface Cover: Other-See Remarks
Drive/Access: None
Fence: None
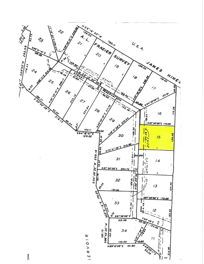
Acreage/Lot Size: 0.520

Location Information/School District

Subdivision: Palo Gaucho Hideaway
Area: Sabine
Rural: n/a
Schools: n/a
Topography: Level
Lake Area: n/a
Directions: n/a

Financial Details

List Price: $39,900
Price per Acre: n/a
Price per SqFt: n/a
HOA/Maintenance Fees: n/a
Taxes: $62
Appraisal Dist ID: R000058871

Additional

Property Type: Land
Restrictions: Attached
Legal Description: n/a
View More Features »

Property Map

Contact Agent

  • This field is for validation purposes and should be left unchanged.